https://www.youtube.com/watch?v=LtUGTXDJ-D4 - wizualizacja S19


Wójt Gminy Wilkołaz informuje, że w ramach prowadzonych działań informacyjno - konsultacyjnych w związku z opracowywaniem Dokumentacji Projektowej w stadium Koncepcji Programowej dla zadania:
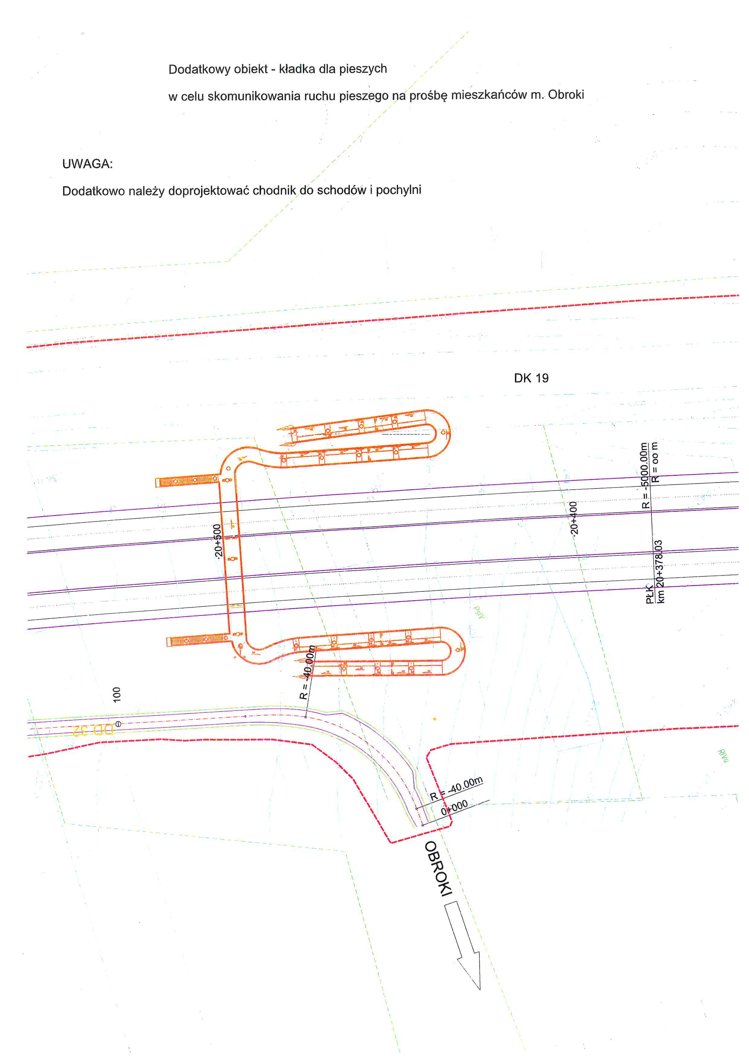
Budowa drogi ekspresowej S19 Lublin – Rzeszów, na odcinku Lublin – granica województw lubelskiego i podkarpackiego, część 1: odc. Lublin ( węzeł Konopnica”- bez węzła) – Kraśnik ( koniec obwodnicy) w tutejszym Urzędzie Gminy w terminie do dnia 13 października 2015 roku zainteresowani będą mogli wnieść wszelkie zapytania, uwagi dotyczące realizacji wyżej wymienionej inwestycji.
Książka uwag i wniosków udostępniona przez GDDKiA w Lublinie wraz z opracowanymi materiałami wyłożony jest w tutejszym Urzędzie Gminy – pok. Nr 7 w godz. 7:30 – 15:00.
Załączniki:
Wójt Gminy Wilkolaz informuje, że są zaplanowane pracace geologicznyczne na terenie Gminy Wilkołaz w związku z wykonaniem dokumentacji projektowej w stadium Koncepcji Programowej dla przedsięwzięcia pn.:
„Budowa drogi ekspresowej S19 Lublin – Rzeszów, na odcinku Lublin – granica województw lubelskiego i podkarpackiego”.
Odcinek realizacyjny Nr 1: Lublin (węzeł „Konopnica” – bez węzła) – Kraśnik (początek obwodnicy),
Odcinek realizacyjny Nr 2: obwodnica m. Kraśnik (węzeł „Kraśnik – węzeł „Słodków”).
Roboty prowadzić będzie Przedsiębiorstwo Geologiczno - Wiertnicze PAWLAK ul. Wolbromska 7, 03-680 Warszawa.
Przewidywany termin zakończenia prac terenowych – lipiec 2015r.
Osoba do kontaktu z ramienia Wykonawcy Robót – Paweł Jaśkiewicz tel. 691 682 104 Dziękujemy za współpracę.




































































zeto![[ZAMKNIJ]](Zasoby/Grafiki/close-img.png)